Noch zehn freie Baugrundstücke in Borsum
Die Gemeinde Harsum informiert, dass im Baugebiet „An der Filderkoppel“ im Ortsteil Borsum noch zehn Baugrundstücke zur Verfügung stehen. Der Standort zeichnet sich durch eine ruhige Wohnlage sowie eine gute infrastrukturelle Anbindung aus und bietet somit attraktive Bedingungen für Bauinteressierte.
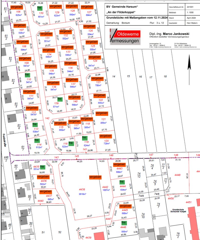
Die noch freien Parzellen verfügen über Grundstücksgrößen zwischen 523 und 888 Quadratmetern. Der Quadratmeterpreis liegt bei 242 Euro. Zur besseren Orientierung steht ein Lageplan bereit, der eine Übersicht über Zuschnitt und Position der verfügbaren Flächen bietet.

Wenn Sie Interesse an einem Bauplatz haben, füllen Sie gerne das nachfolgende Formular aus, die Gemeindeverwaltung wird sich daraufhin zeitnah mit Ihnen in Verbindung setzen.
Ich habe Interesse an einem Baugrundstück - bitte nehmen Sie Kontakt zu mir auf.
